Działka budowlana Szczeglino gm. Sianów Szczeglino, Szczeglino
Szczeglino gm. Sianów Pokaż na mapie ›
Ogłoszenie archiwalne Wygasło: Niedziela, 22 Czerwiec, 2025 08:17
50 000 zł
33 zł/m2
Szczegóły ogłoszenia
- Kategoria: Działki i grunty / Sprzedaż
- Pow. działki:1500 m2
- Rodzaj działki:Budowlana
- Sprzedaż:Pośrednik
- Cena: 50 000 zł / 33 zł/m2
Opis oferty
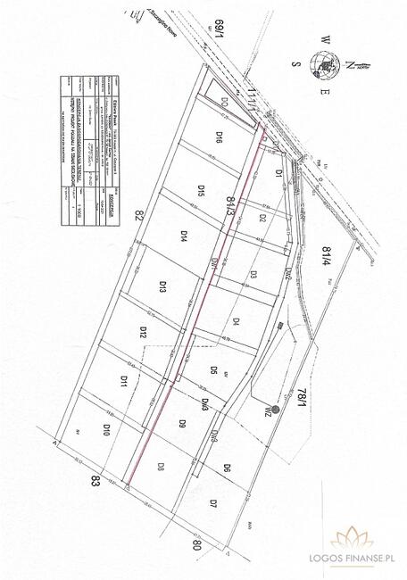
W naszej ofercie posiadamy działkę 3 ha, w miejscowości Szczeglino, wieś sołecka w Polsce położona w województwie zachodniopomorskim, w powiecie koszalińskim, w gminie Sianów. Oddalona od morza zaledwie 20 km. Krajobraz łąk, lasów, naturalnych źródeł znajdziemy właśnie w Szczeglinie, na owej działce.Działka nr 81/3 - cena 800 000 zł za całość
Na zdjęciach widnieje plan podziału działki na 16 ok 1500 metrowych działek. Możliwość podziału pod klienta. Wszystkie z 16 działek mają część wspólną w działkach dojazdowych.
W Miejscowym planie zagospodarowania terenu zostało ustalone
Na terenie jednostki zabudowa mieszkaniowa , mieszkaniowo - rolnicza, związana z prowadzeniem działalności gospodarczej, która może podlegać wymianie, rozbudowie i przebudowie.
W planie została wyodrębniona działka do oczyszczalni ścieków oraz trafostacji.
Na działce/ działkach jest możliwość posiadania własnej studni głębinowej. Zapraszamy do pytań, które chętnie udzielimy wyczerpujących odpowiedzi wraz naszym wykwalifikowanym Geodetą.
Studnie czerpią wodę z warstw wodonośnych.
Przyłącza
Woda - ok. 150 m
Prąd - ok. 100 m2
Zalety studni głębinowej:
Oszczędność - mniejsze koszty w porównaniu z wodociągami.
Niezależność - posiadacz studni głębinowej nie martwi się brakiem wody, spadkiem ciśnienia w sieci wodociągowej oraz wahaniami cenowymi za dostarczaną wodę
Cena do negocjacji
Zapraszam
Paulina Kaliszczak
Powyższa oferta ma charakter informacyjny i nie stanowi oferty handlowej w rozumieniu art. 66 §1 Kodeksu Cywilnego
:: Oferta wysłana z programu mediaRent (media-rent.eu) ::
Numer oferty: 32/LGS/OGS
Sprawdź zainteresowanie tym ogłoszeniem
Wyświetlenia
Data dodania
Ostatnio widziany
Obserwujących
Wysłane zapytania
Odsłony telefonu
To ogłoszenie jest archiwalne i może być nieaktualne.
- Wypromuj ogłoszenie
- Zgłoś naruszenie
- Edytuj/usuń ogłoszenie
- Udostępnij ogłoszenie
- Dodaj na Facebook









